4 obiecte

Casa si teren-Com. Valea Mare, Jud. OLT
Casa si teren-Com. Valea Mare, Jud. OLT Redea, Olt
44 000 €
367 € pentru m²
2-cam 120 m²

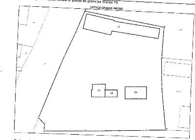
Se vinde la licitatie! Teren intravilan in suprafata de 1748 mp, compus din 1339 mp -categoria de folosinta curti constructii si 409 mp -categoria de folosinta arabil impreuna cu - constructia C1-Casa de locuit cu destinatia de locuinte, cu regim de inaltime P, cu suprafata construita la sol de 134 mp, - Constructia C2 cu destinatia de anexa gospodareasca, cu regim de inaltime P, cu suprafata de 26 mp - Constructia C3 cu destinatia de anexa gospodareasca, cu regim de inaltime P, cu suprafata de 13 mp, - Constructia C4 cu destinatia de anexa gospodareasca, cu regim de inaltime P, cu suprafata de 39 mp, - Teren intravilan in suprafata de 900 mp, avand nr. Cadastral 7608-categoria de folosinta arabil Constructia de baza-C1: - Fundatii din beton armat - Structura: beton si caramida - Inchideri perimetrale: caramida - Compartimentari: caramida - Acoperis: sarpanta din lemn/scandura cu invelitoare din tabla - Finisaje exterioare: pereti tencuiti, cu zugraveli exterioare, finisaje medii - Finisaje interioare: finisaje medii, nu s-a permis accesul in incapere, s-a luat in considerare aceleasi finisaje ca in exterior. Tamplarie exterioara- la geamuri PVC, culoare alba. Utilitati C1: - Energie electrica - retea publica Constructiile anexe gospodaresti-C2, C3 si C4 sunt din caramida si nu aduc aport la valoarea proprietatii. In plus, pe teren exista alte 2 anexe care nu sunt intabulate

Casa de vanzare Stefanesti Valea Mare 0% comision
Casa de vanzare Stefanesti Valea Mare 0% comision Calea Bucuresti, Pitesti, Arges
163 000 €
1 207 € pentru m²
4-cam 135 m²

Casa de vanzare Stefanesti Valea Mare AGENTIA EUROCASA va propune spre vanzare casa individuala, pe doua nivele (parter si etaj) Aceasta proprietate este construita dupa un proiect potrivit familiei tale. Pret: 163 000 €, stadiu semifinisat, la alb. Compartimentare casei este urmatoarea: Camere : 4 Suprafaţă construită : 135 mp, Bucătării : 1 Băi : 2 Balcoane : 1 balcon mare de 13, 86 mp Suprafaţă teren - 300 mp An construcţie : 2025 Structură rezistenţă : caramida porotherm de 25, stalpi beton Regim înălţime : P+1E Locuri parcare : 2 Casa de vanzare Stefanesti Valea Mare La Parter se afla -Living+Dining in suprafata totala de 27,77 mp, -bucatarie in suprafata de 7,26 mp si spatiu de depozitare sub scara; -o baie mica in suprafata de 2,81 mp, dotata cu cadita de duș. La Etaj sunt -3 dormitoare, -o baie, -un balcon mare in suprafata de 13,66 mp ce ofera o vedere panoramica. Casa poate fi predata finisata total atat interior cat si exterior, imprejmuita, curte amenajata. la prețul de 183 000 Euro. Confortul termic va fi oferit de incalzirea in pardoseala, prin centrala termica pe gaze. Casa este construita cu materiale de calitate, termosistem 10 cm Sto, decorativa Caparol, Incalzire în pardoseala Giacomini, termopan WEKA, tabla retropanel. Pentru mai multe detalii nu ezitati sa ne contactati. Vino sa faci cunostinta cu noua ta casa! Suna acum si programeaza-te la

Casa P+M cu 1500 mp teren intravilan in Valea Mare
Casa P+M cu 1500 mp teren intravilan in Valea Mare Turia, Valea Mare, Olt
143 000 €
715 € pentru m²
5-cam 200 m²

Propunem pentru vanzare, cu COMISION 0 pentru cumparator, Casa de tip P+M si BECI situata in Com Valea Mare, Sat Turia. Casa are o suprafata utila totala de 200 mp si un teren aferent de 1500mp cu deschidere 30 ml. Amprenta la sol 120 mp. - : living, bucatarie, dormitor, baie, hol si casa scarii; - : 3 dormitoare ( unul cu dressing), hol, 2 balcoane cu iesire din dormitor si hol si terasa cu iesire din hol

Vând proprietate
Vând proprietate Valea Mare, Olt
11 000 €
172 € pentru m²
3-cam 64 m²

-De vânzare proprietate com. Valea Mare jud. Olt str. Poiana lunga nr 2- -> Terenul are o suprafata de 637 m2 -> Terenul este amplasat intr-o zona foarte linistita -> Ca utilitati are tot ce trebuie : -canalizare la poarta -apa la poarta -curent electric la poarta -> Pe acest teren sunt existente 2 cladiri, o casa batraneasca si o anexa Pentru cei interesati pot fi contactat zilnic intre orele 10:00 - 18:00 la nr. de telefon :

Deschide harta Harta